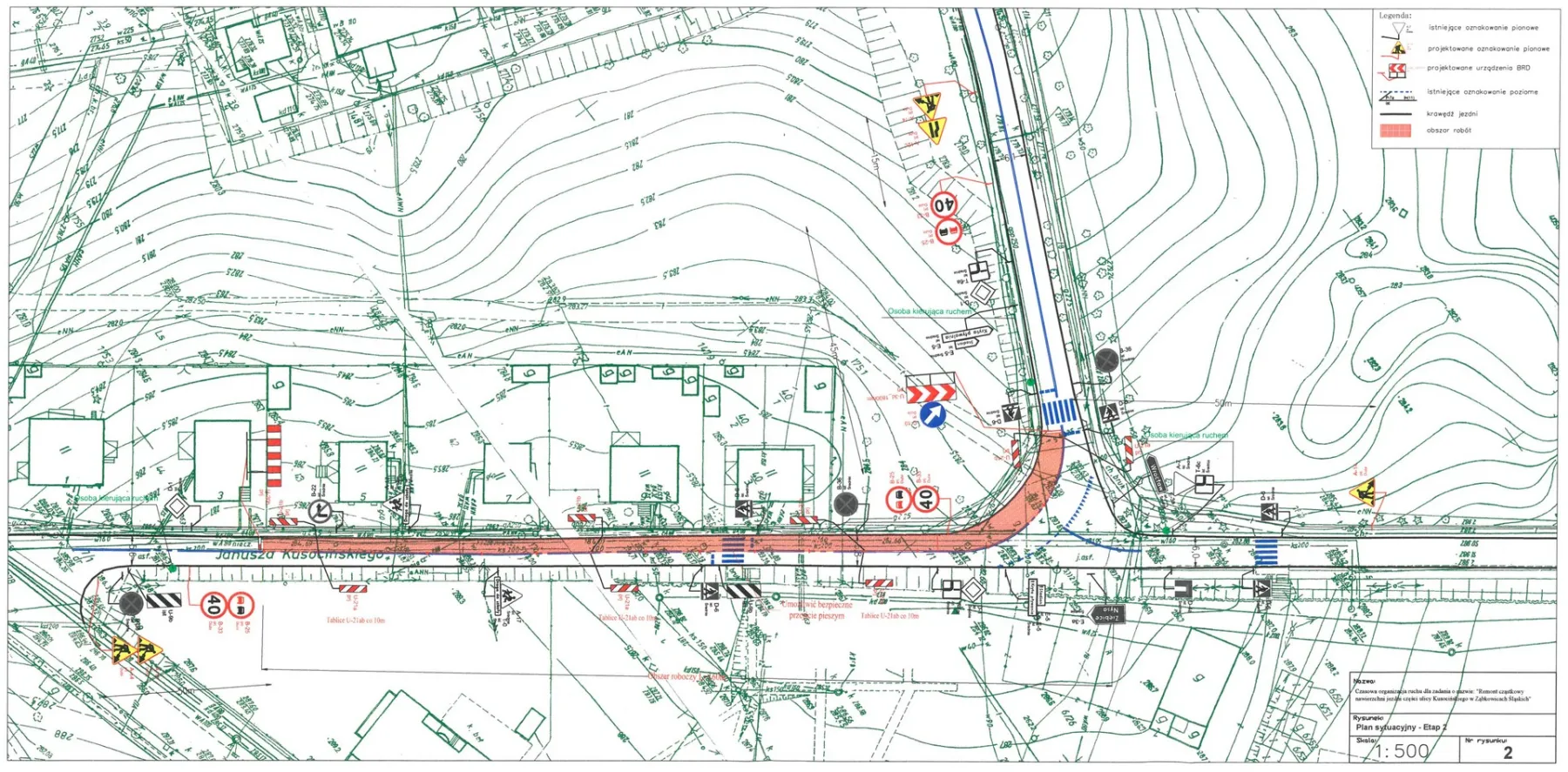
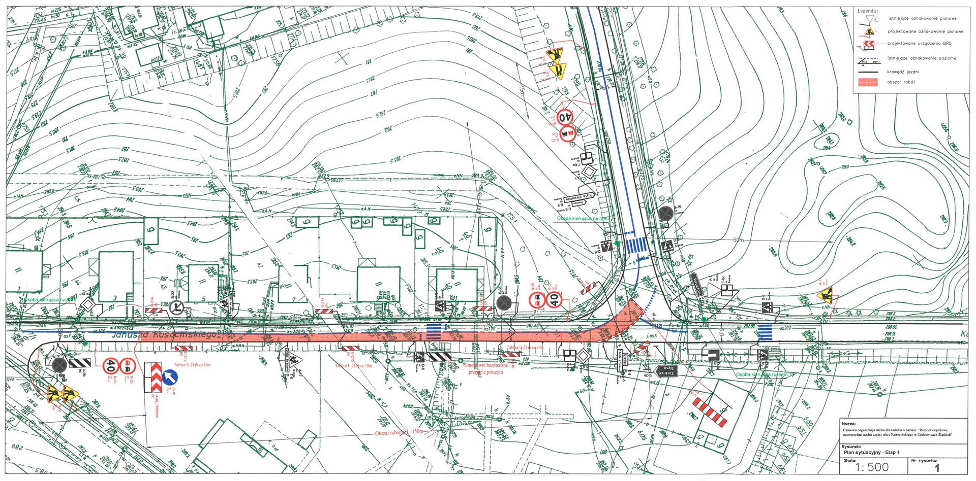
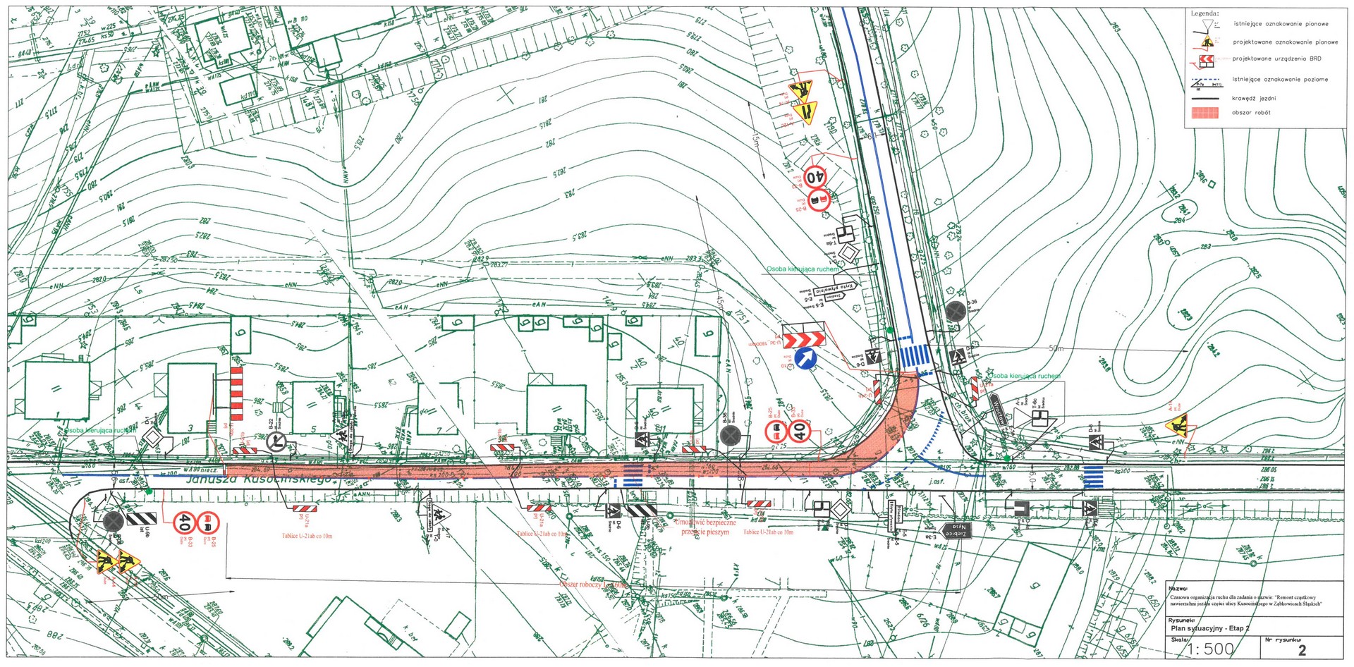
W związku z pracami wprowadzona zostanie czasowa zmiana organizacji ruchu przez okres około 3 tygodni.
Ruch pojazdów samochodowych będzie się odbywał naprzemiennie jednym pasem drogi.
Za utrudnienia przepraszamy i prosimy o wyrozumiałość.
#BudujemyDlaWas!

